Grundstücksangebote in Schlacht und Haslach nach den Richtlinien der Marktgemeinde Glonn für die Vergabe von Wohnbaugrundstücken
Lageplan Haslach Lageplan Schlacht Vergabekriterien Bewerbungsbogen
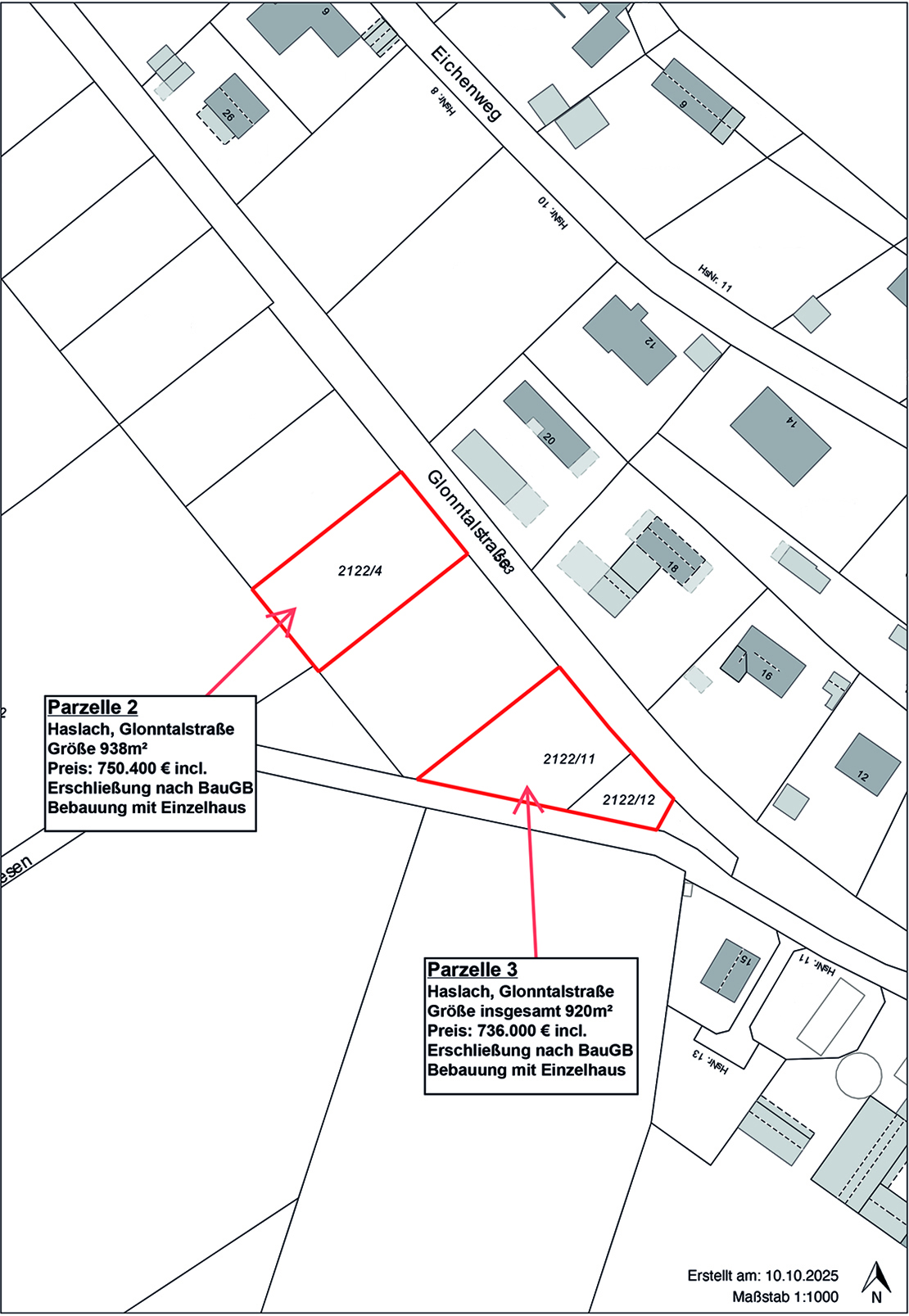
Die Marktgemeinde Glonn bietet insgesamt drei Parzellen nach den aktuell gültigen Richtlinien der Marktgemeinde Glonn für die Vergabe von Wohnbaugrundstücken zum Kauf an. Parzelle 1 mit einer Größe von 710 m² liegt in Schlacht, Am Hochrain. Parzelle 2 mit 938 m² liegt ebenso wie Parzelle 3 mit 920 m² in Haslach an der Glonntalstraße.
Die drei baureifen Grundstücke werden zu einem Preis von 800,00 € pro m² incl. Erschließung nach BauGB verkauft. Alle drei Grundstücke können mit einem Einzelhaus mit max. zwei Wohnungen bebaut werden. Die aktuell geltenden Richtlinien sehen vor, dass bei einer Errichtung eines Wohngebäudes mit zwei Wohnungen mindestens 70% der Gesamtwohnfläche vom Berechtigten bewohnt werden müssen. Die verbleibenden 30% der Gesamtwohnfläche können ebenso nur zu Wohnzwecken und nicht zu sonstigen Zwecken genutzt werden.
Weitere Fragen zur möglichen Bebauung beantwortet das Bauamt im Rathaus Glonn, Herr Steckler, Tel. 08093/909723, E-Mail: bauamt@glonn.de.
Interessenten können die aktuellen Richtlinien für die Vergabe von Wohnbaugrundstücken samt Bewerbungsbogen ab 24.11.2025 auf unserer Homepage www.glonn.de herunterladen. Auf dem Bewerbungsbogen ist anzukreuzen, an welchem der Grundstücke Interesse besteht, eine Mehrfachankreuzung ist möglich. Die Unterlagen können auch bei der Geschäftsstellenleitung im Glonner Rathaus, Frau Heimbuchner, Tel. 08093/909727, 1. Stock, Zi-Nr. 201, abgeholt werden. Bitte geben Sie Ihre ausgefüllten Bewerbungsbogen mit den erforderlichen Unterlagen nach einer Terminvereinbarung über E-Mail amtsleitung@glonn.de persönlich bei Frau Heimbuchner ab.
Eine Bewerbung ist ab 24.11.2025 bis zum 25.01.2026 möglich. Der Marktgemeinderat wird auf Basis des, in den Vergaberichtlinien vorgesehenen Punktesystems, voraussichtlich in seiner Februar-Sitzung 2026 über die Vergabe entscheiden.
